03
Vie, Abr

El huracán Iota alcanza la categoría 4 y se acerca a Centroamérica

Internacional
Tamaño Letra
  • Smaller Small Medium Big Bigger
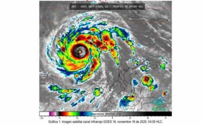
Miami (EEUU), 16 nov (EFE).- El huracán Iota ha alcanzado ya la categoría 4 y con vientos sostenidos de 225 kilómetros por hora se acerca a las costas de Centroamérica, según el último boletín emitido por el Centro Nacional de Huracanes de Miami.

En la actualización de su último boletín, a las 07.00 GMT, y con la información recogida por sus aviones de reconocimiento, el centro de huracanes estadounidense advierte que la potencia del huracán Iota ha crecido "muy rápidamente" en las últimas horas y que ya se ha convertido en "un peligroso huracán de categoría 4".

Según el centro, el viento sostenido del huracán ya es de 225 kilómetros por hora, con rachas aún más elevadas, con una presión mínima de 935 milibares.

Se considera un huracán de categoría 4 aquel que alcanza hasta los 250 kilómetros por hora, provoca una subida de la marea de hasta 5,5 metros y puede causar daños generalizados en estructuras protectoras, desplome de tejados en edificios pequeño, alta erosión de bancales y playas e inundaciones en terrenos interiores.

El huracán Iota está localizado a unos 70 kilómetros al noreste de la isla colombiana de Providencia y a unos 310 kilómetros al este del Cabo Gracias a Dios, en Nicaragua.

El archipiélago de San Andrés y Providencia espera este lunes el embate del huracán Iota, que dejó estragos y cuantiosos daños en el norte de la Colombia continental, mientras que Centroamérica se prepara tambié, donde se espera que llegue este lunes por la noche a la Región Autónoma del Caribe Norte, en Nicaragua. Las torrenciales lluvias causadas por el huracán Iota en el Caribe han causado desastres en varias regiones colombianas donde los afectados se cuentan por miles y las autoridades están en alerta por lo que pueda ocurrir en el archipiélago de San Andrés, que está en la ruta de ciclón tropical.
Las islas caribeñas de San Andrés y Providencia ya resultaron fuertemente afectadas la semana pasada por el huracán Eta. EFE

Más Noticias de esta sección